Multiple Choice / Single Answer

Use a Multiple Choice / Single Answer panel to provide users a range of answer options when only one is correct.

To add a Multiple Choice / Single Answer question, go to Resources > Maintain LMS Assessments and search for the quiz you will be editing. Select the quiz and click the Edit button in the toolbar. In the quiz editing screen, select a question group and click the Add Question button from the toolbar.

On the Add Question screen, click to select Multiple Choice / Single Answer and click the Add Panel button.

c:\temp\Wiki\Maintain Assessments\image1069.jpg

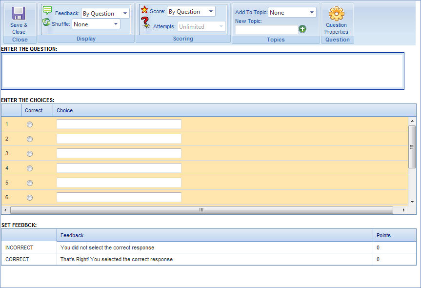
Type the question in the Question text box using the pop-up rich text tools to format the text.

Type the possible answers in the Possible Answers text boxes and select the radio button next to the correct answer.

Click the Question Properties button in the top toolbar to add the button label text, set feedback options, and designate a destination URL (if different from the next panel).

Click the Set Feedback drop-down in the top toolbar to select whether to provide feedback by question or by answer.

By Question (default)
Provide feedback only if the user answered correctly or incorrectly. Double click on the Set Feedback text at the bottom of the screen to modify the default text and to enter the points given for the response. (In this instance, 0 points for an incorrect answer, 10 for a correct answer.) If you click inside the Feedback text box, a limited rich text toolbar will allow you to format the feedback text.
By Answer
Allows you to provide custom feedback for each possible answer.

Click the Shuffle drop-down in the top toolbar to choose whether to change the order of the answers each time a user accesses the question.

Click the Score drop-down in the top toolbar and select By Answer to award partial credit for partially correct answers, if desired.

You can change the order of the answer options by drag-and-drop, or right-click a line and select Move Up or Move Down.  You can delete an option by right-clicking a line and selecting Delete from the content menu.

Select a topic in the Add to Topic drop-down in the top toolbar to add this panel to an existing topic, or type a new topic name into the New Topic field.

Related Links

Add or edit an assessment

Add a question

Content only

Text - single answer

Matching

Multiple choice multiple answer

Yes or No question

True or False question

Score and Exit

Add a Question From a Question Pool

Import a question

Add or edit question group

Change the order of questions and groups

Delete a question or group

Randomize group